Esami radiografici veterinari a Siena
La diagnosi è molto importante e per raggiungerla tempestivamente e senza commettere errori sono necessari competenza e strumenti adeguati. In questo modo scegliere il trattamento adeguato sarà molto più semplice, ottenendo risultati migliori.
Per assicurare ai tuoi amici animali il meglio, noi del Centro Veterinario Montarioso di Siena abbiamo messo insieme professionisti esperti e attrezzature di ultima generazione: prenota ora esami radiografici veterinari contattando il nostro ambulatorio.
I migliori strumenti diagnostici
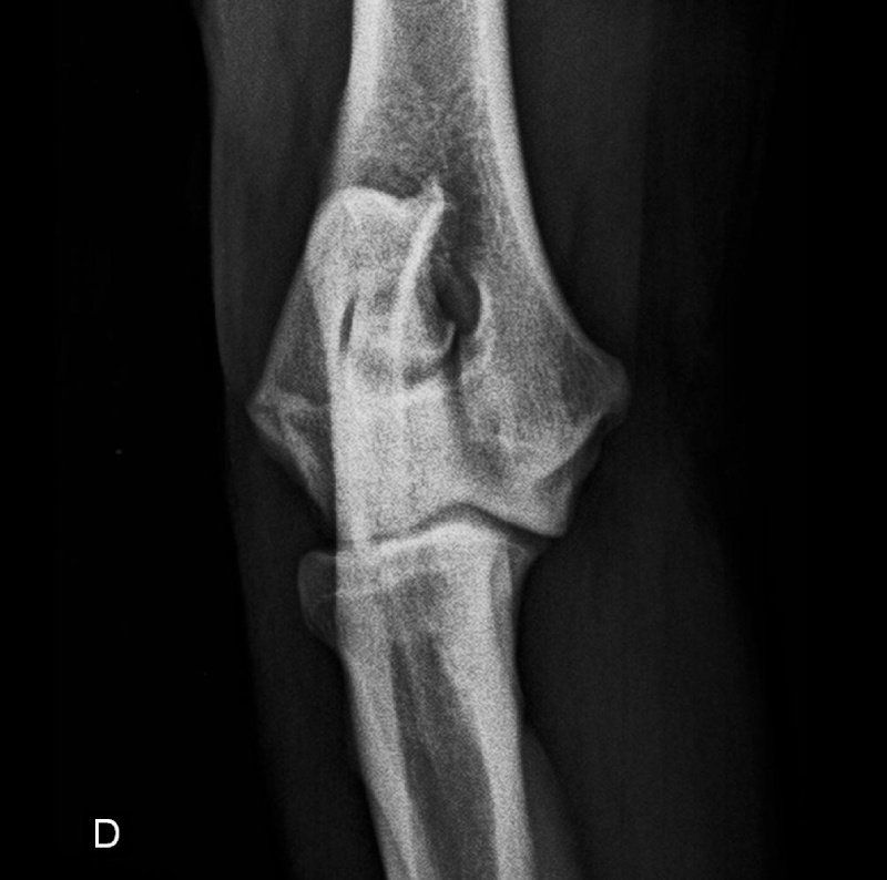
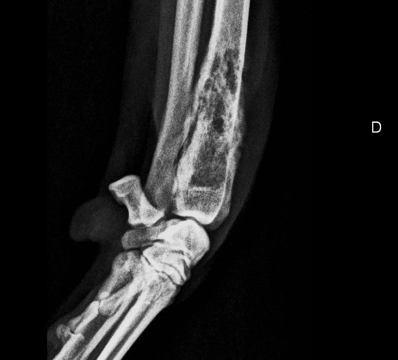
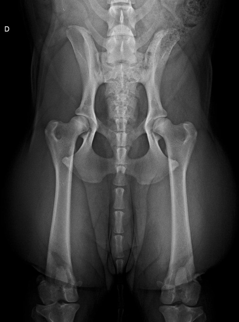
Presso il Centro Veterinario Montarioso di Siena ci occupiamo della modalità di diagnostica per immagini di base; possiamo ottenere informazioni fondamentali per raggiungere una diagnosi accurata, anche nel caso di patologie molto complesse.
Siamo a tua disposizione in clinica per effettuare esami radiografici veterinari: contattaci per maggiori informazioni o per prenotare un appuntamento.
Trattamenti veterinari per ogni esigenza
Il tuo cucciolo presenta un malanno di stagione? Devi fargli una vaccinazione? Desideri ricevere informazioni sugli esami radiografici veterinari? Per tutto questo e molto di più, noi del Centro Veterinario Montarioso siamo a tua disposizione a Siena in Strada Vico Alto 10.
Offriamo i servizi che solo dei veri professionisti seri e qualificati del settore possono assicurare, così che i tuoi amici a quattro zampe possano godere sempre di buona salute. Ci occupiamo anche di eseguire studi radiografici ufficiali per le patologie scheletriche ereditarie, come ad esempio la displasia dell'anca o del gomito.
Per prenotare radiologia digitale o ecografia chiamaci









